Ricerca rapida
Codice
Tipologia
Categoria
Città
Zona
Descrizione
Prezzo (da - a)
-
Mq (da - a)
-
Ordine
Cerca
Scheda Immobile

Urgnano - Terreno Edificabile

Codice V000905
VENDITA ATTUALMENTE SOSPESA IN ATTESA DI NUOVE DISPOSIZIONI DELLA PROPRIETA'.

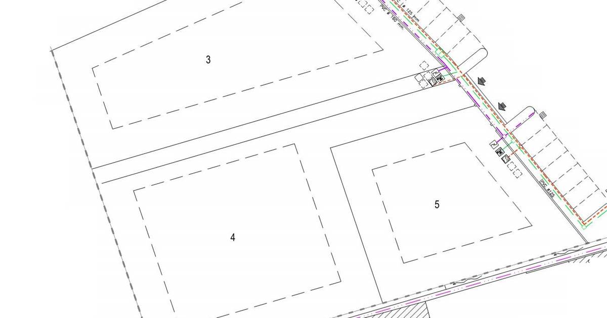
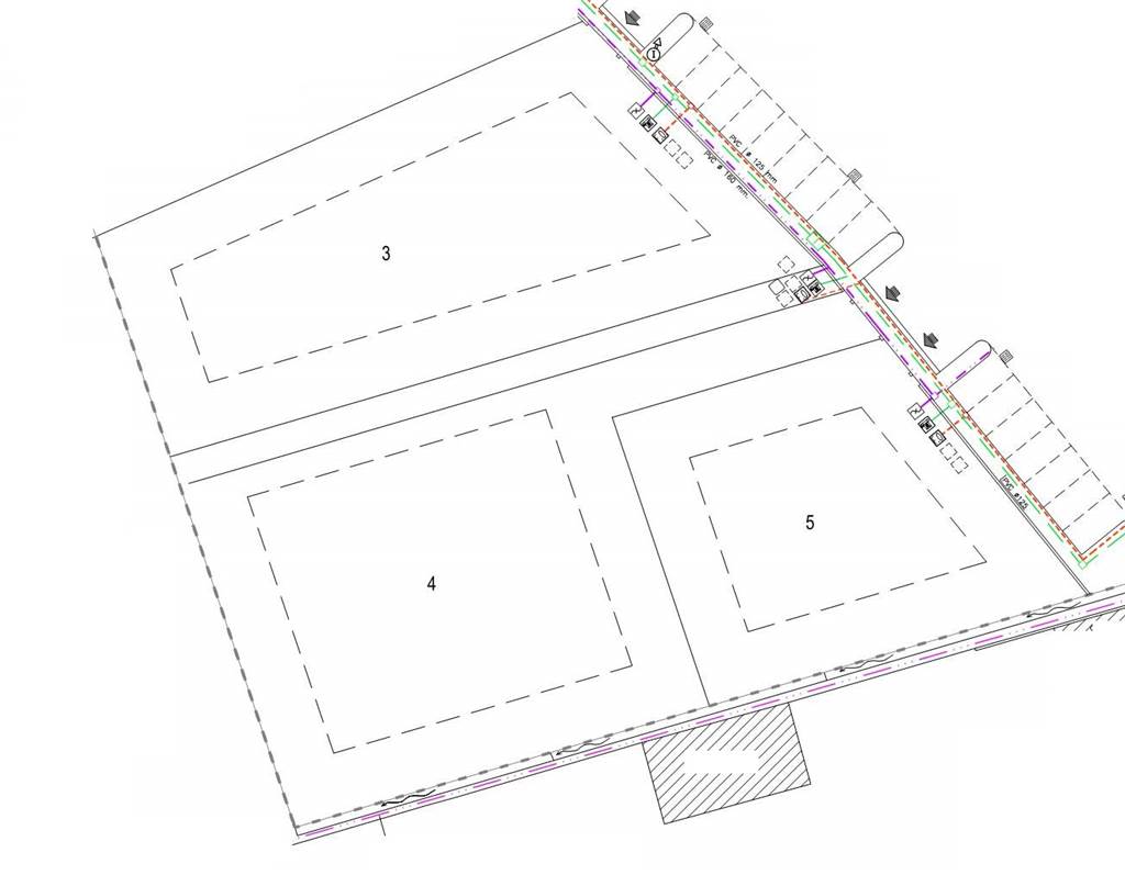
Si dispone di 3 lotti di terreno edificabili, tutti di completamento e quindi già urbanizzati e pronti per partire con i lavori di edificazione. Muretti e recinzioni fronte strada già realizzati.

Risultano vendibili in blocco per un totale di 3.020mq circa con 4.126mc, indice edificabilità 1,36, altezza massima edificabile 7,50mt, prezzo al mc pari ad euro 180,00. acquisto soggetto ad imposta di registro.
Possibilità anche di acquistare i tre lotti separatamente:
lotto 3, 1.060mq/ 1.458mc
lotto 4, 1.253mq/ 1.703mc
lotto 5, 707mq/ 965mc

Per maggiori informazioni telefonare al 347 89 15 337
Prezzo
173.000,00 EUR
Mq
965
Classe
NA
Indice Edificabilià
1,36
Richiedi informazioni
Compila questo modulo per inviarci una mail
di richiesta informazioni per questo immobile
Riferimento Immobile
Nominativo
Telefono
Email
Testo richiesta
Autorizzo contattarmi/inviarmi materiale pubblicitario/informativo inerente l’ambito commerciale per finalità promozionali oltre al trattamento dei miei dati personali in base al D.Lgs. n.196 del 30 giugno 2003 e Regolamento UE n. 679/2016 (Regolamento Generale sulla Protezione dei Dati) - Privacy Policy
Tutti i campi sono obbligatori
Invia
Cookie preference